海咲丸「みさきまる」
釣果、予約状況、予定、その他
Home
釣果
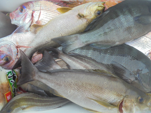
7/12コマセ五目・根魚
7/12コマセ五目・根魚
曇天であまり暑くなく素晴らしい釣り条件でした・・
釣果(船中/3名)
イサキ 23尾、ワラサ 5尾、ヒラマサ 2尾、メジナ 9尾、マダイ 1尾、大マダイ 1尾、クロソイ 1尾、メバル 3尾、アイナメ 1尾、ウッカリカサゴ 9尾、
お知らせ
:
燃料の高騰が痛手
と当船は感染症対策で
乗船数を
3~5名
まで
としてます、そこで。し ばらくの期間、
氷のサービスを休止させていただ
来ます。
乗船料金は据え置きとなります。ご勘弁のほどよろしくお願いいた
します。
【夏季節のおすすめ】
・・コマセフカセ五目(イサキ・マダイ・青物・・)テンビンフカセクッション付き6m1本針(枝間2mエダス5号50㎝)カゴ80号・・
キツネメバル(マソイ)・・ナギの良い日に限り・・同付き3~5本針ネムリ14~16号フラッシュ付き、ハリス6~8号、オモリ150号,エササバタン・ホタル、1㎏級のマソイ狙い、外道にメバル・メダイ・カサゴ・ムシカレイが釣れる可能性あり
当船の仕掛けについて
・まだら:
ラインは5~6号250mあれば・
(当船では8号以上は
水深200mの距離でフケがひどく底どりできずオマツリにもなって
釣果につながりませんのでご遠慮願います)
胴付き3本針
餌サンマ半身つけ(塩締ナシ)オモリ200号
マダラ出船は底引き網漁のジャマにならないように
網の休日、火曜・土曜日に限りますのでよろしく(冬期は別です)
・
ソウハチカレイ
:胴付き5~7本フラッシュ付針、餌イカタン・
ホタルイカ、オモリ200号
・
メバル
:胴付き7~10本針赤フラッシュ付エダ間隔45㎝(おい食い
しやすく)、餌ホタルイカなど
オモリ100~120号
・
アマダイ
:フカセ2.5m2~3本針、下針から50㎝にカミツブシ小、
餌オキアミ、ホタルイカ、オモリ100~120号
・マダイ
:5~4号2~3段テパー
12m
フカセ
(乗っ込みマダイの
時は6~5号。ハリス10m)
、針10号1~2本針、
中間にカミツブシ、下針から
1.5~2mにスイベル3B付、
コマセ籠80号餌とコマセオキアミ
(青物が多い時はハリス
10m・5~6号)
・
カサゴ
:フカセ2m2~3本針、餌サバタン、ホタルイカ
オモリ100~150号
*海、潮、魚の状況により変更があります
集合時間 5:00
仕掛け、餌はご相談ください
森川携帯電話:090-7181-6315
7/12(金)
コマセ五目・根魚(3名)
13
(土)
イサキ五目・アマダイ(空き0)
14
(日)
ジギング(空き1)
15(月)
泳がせ(空き3)
16(火)
マダラ他(空き0)
17(水)臨時休業
18(木)健診休み
19(金)予約受付中
20
(土)
マソイ・メバル(空き0)
21
(日)
予約受付中
22(月)予約受付中
23(火)休業日
24(水)予約受付中
25(木)予約受付中
26(金)予約受付中
27
(土)
泳がせキジハタ(空き0)
28
(日)
予約受付中
29(月)予約受付中
30(火)予約受付中
31(水)予約受付中
8/ 1(木)予約受付中
2(金)予約受付中
3
(土)
予約受付中
4
(日)
予約受付中
5(月)予約受付中
6(火)予約受付中
7(水)予約受付中
8(木)予約受付中
9(金)予約受付中
10
(土)
予約受付中
11
(日)
予約受付中
12
(月)
予約受付中
13(火)休業日
14(水)予約受付中
PR
釣果
2024/07/12 18:12
0
7/9予定表
7/9予定表
お知らせ
:
燃料の高騰が痛手
と当船は感染症対策で
乗船数を
3~5名
まで
としてます、そこで。し ばらくの期間、
氷のサービスを休止させていただ
来ます。
乗船料金は据え置きとなります。ご勘弁のほどよろしくお願いいた
します。
【夏季節のおすすめ】
・・コマセフカセ五目(イサキ・マダイ・青物・・)テンビンフカセクッション付き6m1本針(枝間2mエダス5号50㎝)カゴ80号・・
キツネメバル(マソイ)・・ナギの良い日に限り・・同付き3~5本針ネムリ14~16号フラッシュ付き、ハリス6~8号、オモリ150号,エササバタン・ホタル、1㎏級のマソイ狙い、外道にメバル・メダイ・カサゴ・ムシカレイが釣れる可能性あり
当船の仕掛けについて
・まだら:
ラインは5~6号250mあれば・
(当船では8号以上は
水深200mの距離でフケがひどく底どりできずオマツリにもなって
釣果につながりませんのでご遠慮願います)
胴付き3本針
餌サンマ半身つけ(塩締ナシ)オモリ200号
マダラ出船は底引き網漁のジャマにならないように
網の休日、火曜・土曜日に限りますのでよろしく(冬期は別です)
・
ソウハチカレイ
:胴付き5~7本フラッシュ付針、餌イカタン・
ホタルイカ、オモリ200号
・
メバル
:胴付き7~10本針赤フラッシュ付エダ間隔45㎝(おい食い
しやすく)、餌ホタルイカなど
オモリ100~120号
・
アマダイ
:フカセ2.5m2~3本針、下針から50㎝にカミツブシ小、
餌オキアミ、ホタルイカ、オモリ100~120号
・マダイ
:5~4号2~3段テパー
12m
フカセ
(乗っ込みマダイの
時は6~5号。ハリス10m)
、針10号1~2本針、
中間にカミツブシ、下針から
1.5~2mにスイベル3B付、
コマセ籠80号餌とコマセオキアミ
(青物が多い時はハリス
10m・5~6号)
・
カサゴ
:フカセ2m2~3本針、餌サバタン、ホタルイカ
オモリ100~150号
*海、潮、魚の状況により変更があります
集合時間 5:00
仕掛け、餌はご相談ください
森川携帯電話:090-7181-6315
7/ 9(火)予約受付中
10(水)予約受付中
11(木)予約受付中
12(金)
コマセ五目・根魚(空き2)
13
(土)
イサキ五目・アマダイ(空き0)
14
(日)
ジギング(空き1)
15(月)予約受付中
16(火)
マダラ他(空き0)
17(水)
泳がせ(空き3)
18(木)健診休み
19(金)予約受付中
20
(土)
マソイ・メバル(空き0)
21
(日)
予約受付中
22(月)予約受付中
23(火)休業日
24(水)予約受付中
25(木)予約受付中
26(金)予約受付中
27
(土)
泳がせキジハタ(空き0)
28
(日)
予約受付中
29(月)予約受付中
8/ 1(火)予約受付中
2(水)予約受付中
3(木)予約受付中
4(金)予約受付中
5
(土)
予約受付中
6
(日)
予約受付中
7(月)予約受付中
釣果
2024/07/09 07:02
0
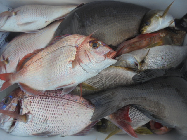
7/2コマセ五目
7/2コマセ五目
ウネリが大きいので近場でコマセ五目にして頂き出船しました・・
なんとか結果を見ることができました。
釣果(船中/2名)
イサキ 7尾、メジナ 9尾、マダイ 4尾、イシダイ大 1尾、ヒラマサ 4尾
お知らせ
:
燃料の高騰が痛手
と当船は感染症対策で
乗船数を
3~5名
まで
としてます、そこで。し ばらくの期間、
氷のサービスを休止させていただ
来ます。
乗船料金は据え置きとなります。ご勘弁のほどよろしくお願いいた
します。
【夏季節のおすすめ】
・・コマセフカセ五目(イサキ・マダイ・青物・・)テンビンフカセクッション付き6m1本針(枝間2mエダス5号50㎝)カゴ80号・・
キツネメバル(マソイ)・・ナギの良い日に限り・・同付き3~5本針ネムリ14~16号フラッシュ付き、ハリス6~8号、オモリ150号,エササバタン・ホタル、1㎏級のマソイ狙い、外道にメバル・メダイ・カサゴ・ムシカレイが釣れる可能性あり
当船の仕掛けについて
・まだら:
ラインは5~6号250mあれば・
(当船では8号以上は
水深200mの距離でフケがひどく底どりできずオマツリにもなって
釣果につながりませんのでご遠慮願います)
胴付き3本針
餌サンマ半身つけ(塩締ナシ)オモリ200号
マダラ出船は底引き網漁のジャマにならないように
網の休日、火曜・土曜日に限りますのでよろしく(冬期は別です)
・
ソウハチカレイ
:胴付き5~7本フラッシュ付針、餌イカタン・
ホタルイカ、オモリ200号
・
メバル
:胴付き7~10本針赤フラッシュ付エダ間隔45㎝(おい食い
しやすく)、餌ホタルイカなど
オモリ100~120号
・
アマダイ
:フカセ2.5m2~3本針、下針から50㎝にカミツブシ小、
餌オキアミ、ホタルイカ、オモリ100~120号
・マダイ
:5~4号2~3段テパー
12m
フカセ
(乗っ込みマダイの
時は6~5号。ハリス10m)
、針10号1~2本針、
中間にカミツブシ、下針から
1.5~2mにスイベル3B付、
コマセ籠80号餌とコマセオキアミ
(青物が多い時はハリス
10m・5~6号)
・
カサゴ
:フカセ2m2~3本針、餌サバタン、ホタルイカ
オモリ100~150号
*海、潮、魚の状況により変更があります
集合時間 5:00
仕掛け、餌はご相談ください
森川携帯電話:090-7181-6315
7/ 2(火)
釣り物変更・コマセ五目(2名)
3(水)雨風中止
4(木)予約受付中
5(金)
コマセ五目(空き3)波浪?
6
(土)
休業日
7
(日)
予約受付中
8(月)予約受付中
9(火)予約受付中
10(水)予約受付中
11(木)予約受付中
12(金)予約受付中
13
(土)
イサキ五目・アマダイ(空き0)
14
(日)
ジギング(空き1)
15(月)予約受付中
16(火)
マダラ他(空き0)
17(水)
泳がせ(空き3)
18(木)健診休み
19(金)予約受付中
20
(土)
マソイ・メバル(空き0)
21
(日)
予約受付中
22(月)予約受付中
23(火)休業日
24(水)予約受付中
25(木)予約受付中
26(金)予約受付中
27
(土)
泳がせキジハタ(空き0)
28
(日)
予約受付中
29(月)予約受付中
8/ 1(火)予約受付中
2(水)予約受付中
釣果
2024/07/02 21:12
0
6/30泳がせ・コマセ五目
6/30泳がせ・コマセ五目
豆アジを頑張って確保してくれたので気楽にチャレンジできました・・後半はコマセ五目を狙いました
釣果(船中/4名)
キジハタ 20尾、カサゴ 5尾、クロソイ 1尾、マハタ大1尾、メジナ10尾
ヒラマサ 1尾、イサキ 26尾、マダイ小 17尾、
お知らせ
:
燃料の高騰が痛手
と当船は感染症対策で
乗船数を
3~5名
まで
としてます、そこで。し ばらくの期間、
氷のサービスを休止させていただ
来ます。
乗船料金は据え置きとなります。ご勘弁のほどよろしくお願いいた
します。
【夏季節のおすすめ】
・・コマセフカセ五目(イサキ・マダイ・青物・・)テンビンフカセクッション付き6m1本針(枝間2mエダス5号50㎝)カゴ80号・・
キツネメバル(マソイ)・・ナギの良い日に限り・・同付き3~5本針ネムリ14~16号フラッシュ付き、ハリス6~8号、オモリ150号,エササバタン・ホタル、1㎏級のマソイ狙い、外道にメバル・メダイ・カサゴ・ムシカレイが釣れる可能性あり
当船の仕掛けについて
・まだら:
ラインは5~6号250mあれば・
(当船では8号以上は
水深200mの距離でフケがひどく底どりできずオマツリにもなって
釣果につながりませんのでご遠慮願います)
胴付き3本針
餌サンマ半身つけ(塩締ナシ)オモリ200号
マダラ出船は底引き網漁のジャマにならないように
網の休日、火曜・土曜日に限りますのでよろしく(冬期は別です)
・
ソウハチカレイ
:胴付き5~7本フラッシュ付針、餌イカタン・
ホタルイカ、オモリ200号
・
メバル
:胴付き7~10本針赤フラッシュ付エダ間隔45㎝(おい食い
しやすく)、餌ホタルイカなど
オモリ100~120号
・
アマダイ
:フカセ2.5m2~3本針、下針から50㎝にカミツブシ小、
餌オキアミ、ホタルイカ、オモリ100~120号
・マダイ
:5~4号2~3段テパー
12m
フカセ
(乗っ込みマダイの
時は6~5号。ハリス10m)
、針10号1~2本針、
中間にカミツブシ、下針から
1.5~2mにスイベル3B付、
コマセ籠80号餌とコマセオキアミ
(青物が多い時はハリス
10m・5~6号)
・
カサゴ
:フカセ2m2~3本針、餌サバタン、ホタルイカ
オモリ100~150号
*海、潮、魚の状況により変更があります
集合時間 5:00
仕掛け、餌はご相談ください
森川携帯電話:090-7181-6315
6/
30
(日)
コマセ五目(4名)
7/ 1(月)波浪中止
2(火)
マダラ他・波浪中止
3(水)波浪中止
4(木)予約受付中
5(金)予約受付中
6
(土)
休業日
7
(日)
予約受付中
8(月)予約受付中
9(火)予約受付中
10(水)予約受付中
11(木)予約受付中
12(金)予約受付中
13
(土)
イサキ五目・アマダイ(空き0)
14
(日)
ジギング(空き1)
15(月)予約受付中
16(火)
マダラ他(空き0)
17(水)予約受付中
18(木)健診休み
19(金)予約受付中
20
(土)
マソイ・メバル(空き2)
21
(日)
予約受付中
22(月)予約受付中
23(火)休業日
24(水)予約受付中
25(木)予約受付中
26(金)予約受付中
27
(土)
泳がせキジハタ(空き0)
28
(日)
予約受付中
29(月)予約受付中
釣果
2024/06/30 23:19
0
6/29泳がせ・コマセ五目
6/29泳がせ・コマセ五目
梅雨の間で好天だった・・潮の動きが悪く苦戦だったがお客さんが頑張ってくれて
なんとか好釣果だった。
釣果(船中/3名)
キジハタ 10尾、クロソイ 6尾、カサゴ 2尾、ヒラメ 1尾、メジナ 1尾、イサキ 2尾、イナダ 1尾、イナワラ 1尾、ワラサ 3尾、タイ小 1尾、
お知らせ
:
燃料の高騰が痛手
と当船は感染症対策で
乗船数を
3~5名
まで
としてます、そこで。し ばらくの期間、
氷のサービスを休止させていただ
来ます。
乗船料金は据え置きとなります。ご勘弁のほどよろしくお願いいた
します。
【夏季節のおすすめ】
・・コマセフカセ五目(イサキ・マダイ・青物・・)テンビンフカセクッション付き6m1本針(枝間2mエダス5号50㎝)カゴ80号・・
キツネメバル(マソイ)・・ナギの良い日に限り・・同付き3~5本針ネムリ14~16号フラッシュ付き、ハリス6~8号、オモリ150号,エササバタン・ホタル、1㎏級のマソイ狙い、外道にメバル・メダイ・カサゴ・ムシカレイが釣れる可能性あり
当船の仕掛けについて
・まだら:
ラインは5~6号250mあれば・
(当船では8号以上は
水深200mの距離でフケがひどく底どりできずオマツリにもなって
釣果につながりませんのでご遠慮願います)
胴付き3本針
餌サンマ半身つけ(塩締ナシ)オモリ200号
マダラ出船は底引き網漁のジャマにならないように
網の休日、火曜・土曜日に限りますのでよろしく(冬期は別です)
・
ソウハチカレイ
:胴付き5~7本フラッシュ付針、餌イカタン・
ホタルイカ、オモリ200号
・
メバル
:胴付き7~10本針赤フラッシュ付エダ間隔45㎝(おい食い
しやすく)、餌ホタルイカなど
オモリ100~120号
・
アマダイ
:フカセ2.5m2~3本針、下針から50㎝にカミツブシ小、
餌オキアミ、ホタルイカ、オモリ100~120号
・マダイ
:5~4号2~3段テパー
12m
フカセ
(乗っ込みマダイの
時は6~5号。ハリス10m)
、針10号1~2本針、
中間にカミツブシ、下針から
1.5~2mにスイベル3B付、
コマセ籠80号餌とコマセオキアミ
(青物が多い時はハリス
10m・5~6号)
・
カサゴ
:フカセ2m2~3本針、餌サバタン、ホタルイカ
オモリ100~150号
*海、潮、魚の状況により変更があります
集合時間 5:00
仕掛け、餌はご相談ください
森川携帯電話:090-7181-6314
6/
29
(土)
コマセ五目(3名)
30
(日)
コマセ五目(空き0)
7/ 1(月)波浪中止
2(火)
マダラ他・波浪中止
3(水)波浪中止
4(木)予約受付中
5(金)予約受付中
6
(土)
休業日
7
(日)
予約受付中
8(月)予約受付中
9(火)予約受付中
10(水)予約受付中
11(木)予約受付中
12(金)予約受付中
13
(土)
イサキ五目・アマダイ(空き0)
14
(日)
ジギング(空き1)
15(月)予約受付中
16(火)
マダラ他(空き0)
17(水)予約受付中
18(木)健診休み
19(金)予約受付中
20
(土)
マソイ・メバル(空き2)
21
(日)
予約受付中
22(月)予約受付中
23(火)休業日
24(水)予約受付中
25(木)予約受付中
26(金)予約受付中
27
(土)
泳がせキジハタ(空き0)
28
(日)
予約受付中
29(月)予約受付中
釣果
2024/06/29 14:28
0
前のページ
Home
次のページ
プロフィール
HN:
海咲丸船長
性別:
非公開
カテゴリー
釣果(813)
出船スケジュール(0)
1月(0)
2月(0)
3月(0)
4月(0)
5月(0)
6月(0)
7月(0)
8月(0)
9月(0)
10月(0)
11月(0)
12月(0)
最新記事
11/30コマセマダイ
(11/30)
11/24コマセ五目
(11/25)
11/23マダラ
(11/23)
11/16コマセ五目
(11/16)
11/15ジギング
(11/15)
RSS
RSS 0.91
RSS 1.0
RSS 2.0
リンク
管理画面
新しい記事を書く
P R
ページトップ