海咲丸「みさきまる」
釣果、予約状況、予定、その他
Home
釣果
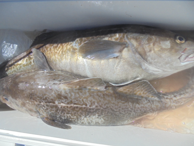
10/5アマダイ・根魚
10/5アマダイ・根魚
今日は小雨が降り潮も動かずアマダイは空振りだった・・根魚はなんとかゲットできた。
釣果(船中/1名)
レンコダイ 2尾、ウッカリカサゴ 8尾、オニカサゴ 1尾、
お知らせ:燃料の高騰が痛手と当船は感染症対策で乗船数を3~5名まで
としてます。そこでしばらくの期間、氷のサービスを休止させていただ
来ます。乗船料金は据え置きとなります。ご勘弁のほどよろしくお願いいた
します。
【夏季節のおすすめ】・・コマセフカセ五目(イサキ・マダイ・青物・・)テンビンフカセクッション付き6号6m1本針(2本針の場合枝間2mエダス5号50㎝)カゴ80号・・
キツネメバル(マソイ)
・・ナギの良い日に限り・・同付き3~5本針ネムリ14~16号フラッシュ付き、ハリス6~8号、オモリ150号,エササバタン・ホタル、1㎏級のマソイ狙い、外道にメバル・メダイ・カサゴ・ムシカレイが釣れる可能性あり
当船の仕掛けについて
・
まだら
:ラインは5~6号250mあれば・(当船では8号以上は
水深200mの距離でフケがひどく底どりできずオマツリにもなって
釣果につながりませんのでご遠慮願います)
胴付き3本針餌サンマ半身つけ(塩締ナシ)オモリ200号
マダラ出船は底引き網漁のジャマにならないように
網の休日、火曜・土曜日に限りますのでよろしく(冬期は別です)
・
ソウハチカレイ
:
胴付き5~7本フラッシュ付針、餌イカタン・
ホタルイカ、オモリ200号
・
メバル
:胴付き7~10本針赤フラッシュ付エダ間隔45㎝(おい食い
しやすく)、餌ホタルイカなどオモリ100~120号
・
アマダイ
:フカセ2.5m2~3本針、下針から50㎝にカミツブシ小、
餌オキアミ、ホタルイカ、オモリ100~120号
・
マダイ
:5~4号2~3段テパー12mフカセ(乗っ込みマダイの
時は6~5号。ハリス10m)、針10号1~2本針、
中間にカミツブシ、下針から1.5~2mにスイベル3B付、
コマセ籠80号餌とコマセオキアミ(青物が多い時はハリス
10m・5~6号)
・
カサゴ
:フカセ2m2~3本針、餌サバタン、ホタルイカ
オモリ100~150号
*海、潮、魚の状況により変更があります
集合時間
6;00
仕掛け、餌はご相談ください
森川携帯電話:090-7181-6315
10/ 5
(日)
アマダイ・根魚(1名)
6(月)
予約受付中
7(火)
休業日
8(水)
予約受付中
9(木)
私用でお休み
10(金)
予約受付中
11
(土)
予約受付中
12
(日)
泳がせ・フカセ五目(空き2)
13
(月)
予約受付中
14(火)
予約受付中
15(水)
フカセ五目・タイラバ(空き1)
16(木)
予約受付中
17(金)
予約受付中
18
(土)
予約受付中
19
(日)
アマダイ・根魚(空き0)
20(月)
予約受付中
21(火)
予約受付中
22(水)
フカセ五目・タイラバ(空き1)
23(木)
予約受付中
PR
釣果
2025/10/05 23:03
0
10/4釣果
10/4釣果
10/3コマセ五目
潮良し・ナギ良しヒラマサ好調・・
成果(船中/1名)
ヒラマサ 7尾、マダイ2尾、イサキ 3尾、
10/4コマセ五目・ジギング
混成チームで頑張っていただきました・・
成果(船中/4名)
ヒラマサ 2尾、キジハタ 3尾、メジナ 1尾、マダイ 1尾、ヒラメ 1尾
お知らせ:燃料の高騰が痛手と当船は感染症対策で乗船数を3~5名まで
としてます。そこでしばらくの期間、氷のサービスを休止させていただ
来ます。乗船料金は据え置きとなります。ご勘弁のほどよろしくお願いいた
します。
【夏季節のおすすめ】・・コマセフカセ五目(イサキ・マダイ・青物・・)テンビンフカセクッション付き6号6m1本針(2本針の場合枝間2mエダス5号50㎝)カゴ80号・・
キツネメバル(マソイ)
・・ナギの良い日に限り・・同付き3~5本針ネムリ14~16号フラッシュ付き、ハリス6~8号、オモリ150号,エササバタン・ホタル、1㎏級のマソイ狙い、外道にメバル・メダイ・カサゴ・ムシカレイが釣れる可能性あり
当船の仕掛けについて
・
まだら
:ラインは5~6号250mあれば・(当船では8号以上は
水深200mの距離でフケがひどく底どりできずオマツリにもなって
釣果につながりませんのでご遠慮願います)
胴付き3本針餌サンマ半身つけ(塩締ナシ)オモリ200号
マダラ出船は底引き網漁のジャマにならないように
網の休日、火曜・土曜日に限りますのでよろしく(冬期は別です)
・
ソウハチカレイ:
胴付き5~7本フラッシュ付針、餌イカタン・
ホタルイカ、オモリ200号
・
メバル
:胴付き7~10本針赤フラッシュ付エダ間隔45㎝(おい食い
しやすく)、餌ホタルイカなどオモリ100~120号
・
アマダイ
:フカセ2.5m2~3本針、下針から50㎝にカミツブシ小、
餌オキアミ、ホタルイカ、オモリ100~120号
・
マダイ
:5~4号2~3段テパー12mフカセ(乗っ込みマダイの
時は6~5号。ハリス10m)、針10号1~2本針、
中間にカミツブシ、下針から1.5~2mにスイベル3B付、
コマセ籠80号餌とコマセオキアミ(青物が多い時はハリス
10m・5~6号)
・
カサゴ
:フカセ2m2~3本針、餌サバタン、ホタルイカ
オモリ100~150号
*海、潮、魚の状況により変更があります
集合時間
6;00
仕掛け、餌はご相談ください
森川携帯電話:090-7181-6315
10/ 3(金)
フカセ五目(1名)
4
(土)
ジギングタイラバ(4名
)
5
(日)
アマダイ・根魚(空き2)
6(月)
予約受付中
7(火)
休業日
8(水)
予約受付中
9(木)
私用でお休み
10(金)
予約受付中
11
(土)
予約受付中
12
(日)
泳がせ・フカセ五目(空き2)
13
(月)
予約受付中
14(火)
予約受付中
15(水)
フカセ五目・タイラバ(空き1)
16(木)
予約受付中
17(金)
予約受付中
18
(土)
予約受付中
19
(日)
アマダイ・根魚(空き0)
20(月)
予約受付中
21(火)
予約受付中
22(水)
フカセ五目・タイラバ(空き1)
23(木)
予約受付中
釣果
2025/10/04 18:39
0
10/1釣果
10/1釣果
9/28フカセ五目・根魚
釣果・船中/3名
ヒラマサ 5尾、マダイ4.5㎏ 1尾、イサキ 1尾 カサゴ 2尾、
キジハタ 2尾
9/30 マダラ
マダラ 5尾、ソウハチカレイ 1尾、
お知らせ:燃料の高騰が痛手と当船は感染症対策で乗船数を3~5名まで
としてます。そこでしばらくの期間、氷のサービスを休止させていただ
来ます。乗船料金は据え置きとなります。ご勘弁のほどよろしくお願いいた
します。
【夏季節のおすすめ】・・コマセフカセ五目(イサキ・マダイ・青物・・)テンビンフカセクッション付き6号6m1本針(2本針の場合枝間2mエダス5号50㎝)カゴ80号・・
キツネメバル(マソイ)・・ナギの良い日に限り・・同付き3~5本針ネムリ14~16号フラッシュ付き、ハリス6~8号、オモリ150号,エササバタン・ホタル、1㎏級のマソイ狙い、外道にメバル・メダイ・カサゴ・ムシカレイが釣れる可能性あり
当船の仕掛けについて
・まだら:ラインは5~6号250mあれば・(当船では8号以上は
水深200mの距離でフケがひどく底どりできずオマツリにもなって
釣果につながりませんのでご遠慮願います)
胴付き3本針餌サンマ半身つけ(塩締ナシ)オモリ200号
マダラ出船は底引き網漁のジャマにならないように
網の休日、火曜・土曜日に限りますのでよろしく(冬期は別です)
・ソウハチカレイ:胴付き5~7本フラッシュ付針、餌イカタン・
ホタルイカ、オモリ200号
・メバル:胴付き7~10本針赤フラッシュ付エダ間隔45㎝(おい食い
しやすく)、餌ホタルイカなどオモリ100~120号
・アマダイ:フカセ2.5m2~3本針、下針から50㎝にカミツブシ小、
餌オキアミ、ホタルイカ、オモリ100~120号
・マダイ:5~4号2~3段テパー12mフカセ(乗っ込みマダイの
時は6~5号。ハリス10m)、針10号1~2本針、
中間にカミツブシ、下針から1.5~2mにスイベル3B付、
コマセ籠80号餌とコマセオキアミ(青物が多い時はハリス
10m・5~6号)
・カサゴ:フカセ2m2~3本針、餌サバタン、ホタルイカ
オモリ100~150号
*海、潮、魚の状況により変更があります
集合時間 6;00
仕掛け、餌はご相談ください
森川携帯電話:090-7181-6315
9/28
(日)
フカセ五目・根魚(3名)
29(月)
フカセマダイ・中止
30(火)
マダラソウハチ(3名)
10/ 1(水)
雨中止
2(木)
予約受付中
3(金)
フカセ五目(空き2)
4
(土)
ジギングタイラバ(空き0)
5
(日)
アマダイ・根魚(空き2)
6(月)
予約受付中
7(火)
休業日
8(水)
予約受付中
9(木)
私用でお休み
10(金)
予約受付中
11
(土)
予約受付中
12
(日)
泳がせ・フカセ五目(空き2)
13
(月)
予約受付中
14(火)
予約受付中
15(水)
フカセ五目・タイラバ(空き1)
16(木)
予約受付中
17(金)
予約受付中
18
(土)
予約受付中
19
(日)
アマダイ・根魚(空き0)
20(月)
予約受付中
21(火)
予約受付中
22(水)
フカセ五目・タイラバ(空き1)
23(木)
予約受付中
釣果
2025/10/01 12:49
0
9/27フカセ五目・根魚
9/27フカセ五目根魚
9/26成績
釣果(船中/3名)
ヒラマサ 15尾、イナワラ 4尾、マダイ小 3尾、イサキ 2尾、
ウマヅラ 1尾、
9/27フカセ五目根魚
釣果(船中/4名)
ヒラマサ 6尾、イナワラ 3尾、キジハタ 2尾、
お知らせ:燃料の高騰が痛手と当船は感染症対策で乗船数を3~5名まで
としてます。そこでしばらくの期間、氷のサービスを休止させていただ
来ます。乗船料金は据え置きとなります。ご勘弁のほどよろしくお願いいた
します。
【夏季節のおすすめ】
・・コマセフカセ五目(イサキ・マダイ・青物・・)テンビンフカセクッション付き6号6m1本針(2本針の場合枝間2mエダス5号50㎝)カゴ80号・・
キツネメバル(マソイ)・・ナギの良い日に限り・・同付き3~5本針ネムリ14~16号フラッシュ付き、ハリス6~8号、オモリ150号,エササバタン・ホタル、1㎏級のマソイ狙い、外道にメバル・メダイ・カサゴ・ムシカレイが釣れる可能性あり
当船の仕掛けについて
・まだら:ラインは5~6号250mあれば・(当船では8号以上は
水深200mの距離でフケがひどく底どりできずオマツリにもなって
釣果につながりませんのでご遠慮願います)
胴付き3本針餌サンマ半身つけ(塩締ナシ)オモリ200号
マダラ出船は底引き網漁のジャマにならないように
網の休日、火曜・土曜日に限りますのでよろしく(冬期は別です)
・ソウハチカレイ:胴付き5~7本フラッシュ付針、餌イカタン・
ホタルイカ、オモリ200号
・メバル:胴付き7~10本針赤フラッシュ付エダ間隔45㎝(おい食い
しやすく)、餌ホタルイカなどオモリ100~120号
・アマダイ:フカセ2.5m2~3本針、下針から50㎝にカミツブシ小、
餌オキアミ、ホタルイカ、オモリ100~120号
・マダイ:5~4号2~3段テパー12mフカセ(乗っ込みマダイの
時は6~5号。ハリス10m)、針10号1~2本針、
中間にカミツブシ、下針から1.5~2mにスイベル3B付、
コマセ籠80号餌とコマセオキアミ(青物が多い時はハリス
10m・5~6号)
・カサゴ:フカセ2m2~3本針、餌サバタン、ホタルイカ
オモリ100~150号
*海、潮、魚の状況により変更があります
集合時間 5:30
仕掛け、餌はご相談ください
森川携帯電話:090-7181-6315
9/
26(金)
フカセコマセマダイ(3名
)
27
(土)
コマセ五目キジハタ
(4名)
28
(日)
フカセ五目・根魚(空き1)
29(月)
フカセマダイ・中止
30(火)
マダラソウハチ(空き0)
10/ 1(水)
予約受付中
2(木)
予約受付中
3(金)
予約受付中
4
(土)
ジギングタイラバ(空き0)
5
(日)
予約受付中
6(月)
予約受付中
7(火)
休業日
8(水)
予約受付中
9(木)
自己都合お休み
10(金)
予約受付中
11
(土)
アマダイ根魚(空き2)
12
(日)
泳がせ・フカセ五目(空き2)
予約状況:
10/19(日)アマダイ根魚(空き0)
釣果
2025/09/27 16:14
0
9/21予定表
9/21予定表
やっと秋らしくなってきました
お知らせ:燃料の高騰が痛手と当船は感染症対策で乗船数を3~5名まで
としてます。そこでしばらくの期間、氷のサービスを休止させていただ
来ます。乗船料金は据え置きとなります。ご勘弁のほどよろしくお願いいた
します。
【夏季節のおすすめ】
・・コマセフカセ五目(イサキ・マダイ・青物・・)テンビンフカセクッション付き6号6m1本針(2本針の場合枝間2mエダス5号50㎝)カゴ80号・・
キツネメバル(マソイ)・・ナギの良い日に限り・・同付き3~5本針ネムリ14~16号フラッシュ付き、ハリス6~8号、オモリ150号,エササバタン・ホタル、1㎏級のマソイ狙い、外道にメバル・メダイ・カサゴ・ムシカレイが釣れる可能性あり
当船の仕掛けについて
・まだら:ラインは5~6号250mあれば・(当船では8号以上は
水深200mの距離でフケがひどく底どりできずオマツリにもなって
釣果につながりませんのでご遠慮願います)
胴付き3本針餌サンマ半身つけ(塩締ナシ)オモリ200号
マダラ出船は底引き網漁のジャマにならないように
網の休日、火曜・土曜日に限りますのでよろしく(冬期は別です)
・ソウハチカレイ:胴付き5~7本フラッシュ付針、餌イカタン・
ホタルイカ、オモリ200号
・メバル:胴付き7~10本針赤フラッシュ付エダ間隔45㎝(おい食い
しやすく)、餌ホタルイカなどオモリ100~120号
・アマダイ:フカセ2.5m2~3本針、下針から50㎝にカミツブシ小、
餌オキアミ、ホタルイカ、オモリ100~120号
・マダイ:5~4号2~3段テパー12mフカセ(乗っ込みマダイの
時は6~5号。ハリス10m)、針10号1~2本針、
中間にカミツブシ、下針から1.5~2mにスイベル3B付、
コマセ籠80号餌とコマセオキアミ(青物が多い時はハリス
10m・5~6号)
・カサゴ:フカセ2m2~3本針、餌サバタン、ホタルイカ
オモリ100~150号
*海、潮、魚の状況により変更があります
集合時間 5:30
仕掛け、餌はご相談ください
森川携帯電話:090-7181-6315
9/
22(月)
貸切
23
(火)
貸切
24(水)
予約受付中
25(木)
予約受付中
26(金)
フカセ
マダイ(空き3)
27
(土)
泳がせ・コマセ五目
(空き1)
28
(日)
予約受付中
29(月)
フカセマダイ(空き1)
30(火)
マダラソウハチ(空き0)
10/ 1(水)
予約受付中
2(木)
予約受付中
3(金)
予約受付中
4
(土)
ジギングタイラバ(空き0)
5
(日)
予約受付中
6(月)
予約受付中
7(火)
休業日
8(水)
予約受付中
9(木)
自己都合お休み
10(金)
予約受付中
11
(土)
アマダイ根魚(空き2)
12
(日)
泳がせ・フカセ五目(空き2)
予約状況:
10/19(日)アマダイ根魚(空き0)
釣果
2025/09/21 11:59
0
前のページ
Home
次のページ
プロフィール
HN:
海咲丸船長
性別:
非公開
カテゴリー
釣果(813)
出船スケジュール(0)
1月(0)
2月(0)
3月(0)
4月(0)
5月(0)
6月(0)
7月(0)
8月(0)
9月(0)
10月(0)
11月(0)
12月(0)
最新記事
11/30コマセマダイ
(11/30)
11/24コマセ五目
(11/25)
11/23マダラ
(11/23)
11/16コマセ五目
(11/16)
11/15ジギング
(11/15)
RSS
RSS 0.91
RSS 1.0
RSS 2.0
リンク
管理画面
新しい記事を書く
P R
ページトップ