海咲丸「みさきまる」
釣果、予約状況、予定、その他
Home
釣果
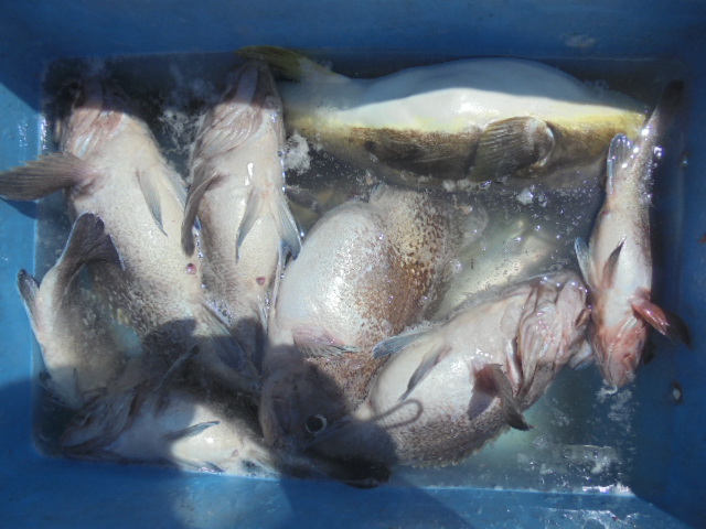
5/21マダイ五目
5/21マダイ五目
絶好の釣り日和なので名立周辺のマダイ状況を探って走り回ってみたが乗っ込み
はまだのようだ・・いくらか浮いている場所もあったが船を止めると反応が消えてしまう・・キビシイ釣行だった
釣果(船中/4名)
マダイ小 7尾、シキシマハナダイ 4尾、チカメキントキ 1尾、ホッケ 1尾、沖メバル 1尾、レンコダイ 1尾、イナダ 1尾、カサゴ 6尾、クロソイ
1尾、クロメバル 1尾、
お知らせ
:
燃料の高騰が痛手
と当船はコロナ対策で
乗船数を
3~5名
まで
としてます、そこで。し ばらくの期間、
氷のサービスを休止させていただ
来ます。
乗船料金は据え置きとなります。ご勘弁のほどよろしくお願いいた
します。
【
今が旬のおすすめ釣りもの】
キツネメバル(マソイ)・・ナギの良い日に限り・・同付き3~5本針ネムリ14~16号フラッシュ付き、ハリス6~8号、オモリ150号,エササバタン・ホタル、1㎏級のマソイ狙い、外道にメバル・メダイ・カサゴ・ムシカレイが釣れる可能性あり
当船の仕掛けについて
・まだら:
ラインは5~6号250mあれば・
(当船では8号以上は
水深200mさられの距離でフケがひどく底どりできずオマツリにもなって
釣果につながりませんのでご遠慮願います)
胴付き3本針
餌サンマ半身つけ(塩締ナシ)オモリ200号
マダラ出船は底引き網漁のジャマにならないように
網の休日、火曜・土曜日に限りますのでよろしく(冬期は別です)
・
ソウハチカレイ
:胴付き5~7本フラッシュ付針、餌イカタン・
ホタルイカ、オモリ200号
・
イカ
:ブランコ、プラツノ14~12㎝ダブルカンナ、
オモリ100~120号
・
メバル
:胴付き7~10本針赤フラッシュ付エダ間隔45㎝(おい食い
しやすく)、餌ホタルイカなど
オモリ100~120号
・
アマダイ
:フカセ2.5m2~3本針、下針から50㎝にカミツブシ小、
餌オキアミ、ホタルイカ、オモリ100~120号
・マダイ
:5~4号2~3段テパー
12m
フカセ
(乗っ込みマダイの
時は6~5号。ハリス10m)
、針10号1~2本針、
中間にカミツブシ、下針から
1.5~2mにスイベル3B付、
コマセ籠80号餌とコマセオキアミ
(青物が多い時はハリス
10m・5~6号)
・
カサゴ
:フカセ2m2~3本針、餌サバタン、ホタルイカ
オモリ100~150号
*海、潮、魚の状況により変更があります
集合時間
5
:00集合
仕掛け、餌はご相談ください
森川携帯電話:090-7181-6314
5/
21
(日)
マダイ五目(4名)
22(月)予約受付中
23(火)休業日
24(水)
コマセマダイ(空き2)
25(木)
キツネメバル(空き2)
26(金)
マダイ五目(空き2)
27
(土)
コマセマダイ(空き2)
28
(日)
マダイ五目(空き2)
29(月)予約受付中
30(火)予約受付中
31(水)予約受付中
6/ 1(木)予約受付中
2(金)予約受付中
3
(土)
予約受付中
4
(日)
予約受付中
5(月)予約受付中
6(火)休業日
7(水)予約受付中
8(木)予約受付中
9(金)予約受付中
10
(土)
泳がせ根魚(空き0)
11
(日)
予約受付中
12(月)予約受付中
*予約状況
6/17(土)マダラ他(仕立て)
6/24(土)泳がせ(空き0名)
PR
釣果
2023/05/21 19:15
0
5/20マダラソウハチ
5/20マダラソウハチ
潮の動きが悪く・・不調だった
釣果(船中/2名)
マダラ6㎏ 1尾、ソウハチ 8尾、沖メバル 4尾、ショウサイフグ 1尾、
お知らせ
:
燃料の高騰が痛手
と当船はコロナ対策で
乗船数を
3~5名
まで
としてます、そこで。し ばらくの期間、
氷のサービスを休止させていただ
来ます。
乗船料金は据え置きとなります。ご勘弁のほどよろしくお願いいた
します。
【
今が旬のおすすめ釣りもの】
キツネメバル(マソイ)・・ナギの良い日に限り・・同付き3~5本針ネムリ14~16号フラッシュ付き、ハリス6~8号、オモリ150号,エササバタン・ホタル、1㎏級のマソイ狙い、外道にメバル・メダイ・カサゴ・ムシカレイが釣れる可能性あり
当船の仕掛けについて
・まだら:
ラインは5~6号250mあれば・
(当船では8号以上は
水深200mさられの距離でフケがひどく底どりできずオマツリにもなって
釣果につながりませんのでご遠慮願います)
胴付き3本針
餌サンマ半身つけ(塩締ナシ)オモリ200号
マダラ出船は底引き網漁のジャマにならないように
網の休日、火曜・土曜日に限りますのでよろしく(冬期は別です)
・
ソウハチカレイ
:胴付き5~7本フラッシュ付針、餌イカタン・
ホタルイカ、オモリ200号
・
イカ
:ブランコ、プラツノ14~12㎝ダブルカンナ、
オモリ100~120号
・
メバル
:胴付き7~10本針赤フラッシュ付エダ間隔45㎝(おい食い
しやすく)、餌ホタルイカなど
オモリ100~120号
・
アマダイ
:フカセ2.5m2~3本針、下針から50㎝にカミツブシ小、
餌オキアミ、ホタルイカ、オモリ100~120号
・マダイ
:5~4号2~3段テパー
12m
フカセ
(乗っ込みマダイの
時は6~5号。ハリス10m)
、針10号1~2本針、
中間にカミツブシ、下針から
1.5~2mにスイベル3B付、
コマセ籠80号餌とコマセオキアミ
(青物が多い時はハリス
10m・5~6号)
・
カサゴ
:フカセ2m2~3本針、餌サバタン、ホタルイカ
オモリ100~150号
*海、潮、魚の状況により変更があります
集合時間
5
:00集合
仕掛け、餌はご相談ください
森川携帯電話:090-7181-6314
5/
20
(土)
マダラソウハチ(2名)
21
(日)
マダイ五目(空き1)
22(月)予約受付中
23(火)休業日
24(水)
コマセマダイ(空き2)
25(木)
キツネメバル(空き2)
26(金)
マダイ五目(空き2)
27
(土)
コマセマダイ(空き2)
28
(日)
マダイ五目(空き2)
29(月)予約受付中
30(火)予約受付中
31(水)予約受付中
6/ 1(木)予約受付中
2(金)予約受付中
3
(土)
予約受付中
4
(日)
予約受付中
5(月)予約受付中
6(火)休業日
7(水)予約受付中
8(木)予約受付中
9(金)予約受付中
10
(土)
泳がせ根魚(空き0)
11
(日)
予約受付中
12(月)予約受付中
*予約状況
6/17(土)マダラ他(仕立て)
6/24(土)泳がせ(空き0名)
釣果
2023/05/20 17:22
0
5/19予定表
5/19予定表
お知らせ
:
燃料の高騰が痛手
と当船はコロナ対策で
乗船数を
3~5名
まで
としてます、そこで。し ばらくの期間、
氷のサービスを休止させていただ
きます。
乗船料金は据え置きとなります。ご勘弁のほどよろしくお願いいた
します。
【
今が旬のおすすめ釣りもの】
キツネメバル(マソイ)・・ナギの良い日に限り・・同付き3~5本針ネムリ14~16号フラッシュ付き、ハリス6~8号、オモリ150号,エササバタン・ホタル、1㎏級のマソイ狙い、外道にメバル・メダイ・カサゴ・ムシカレイが釣れる可能性あり
当船の仕掛けについて
・まだら:
ラインは5~6号250mあれば・
(当船では8号以上は
水深200mさられの距離でフケがひどく底どりできずオマツリにもなって
釣果につながりませんのでご遠慮願います)
胴付き3本針
餌サンマ半身つけ(塩締ナシ)オモリ200号
マダラ出船は底引き網漁のジャマにならないように
網の休日、火曜・土曜日に限りますのでよろしく(冬期は別です)
・
ソウハチカレイ
:胴付き5~7本フラッシュ付針、餌イカタン・
ホタルイカ、オモリ200号
・
イカ
:ブランコ、プラツノ14~12㎝ダブルカンナ、
オモリ100~120号
・
メバル
:胴付き7~10本針赤フラッシュ付エダ間隔45㎝(おい食い
しやすく)、餌ホタルイカなど
オモリ100~120号
・
アマダイ
:フカセ2.5m2~3本針、下針から50㎝にカミツブシ小、
餌オキアミ、ホタルイカ、オモリ100~120号
・マダイ
:5~4号2~3段テパー
12m
フカセ
(乗っ込みマダイの
時は6~5号。ハリス10m)
、針10号1~2本針、
中間にカミツブシ、下針から
1.5~2mにスイベル3B付、
コマセ籠80号餌とコマセオキアミ
(青物が多い時はハリス
10m・5~6号)
・
カサゴ
:フカセ2m2~3本針、餌サバタン、ホタルイカ
オモリ100~150号
*海、潮、魚の状況により変更があります
集合時間
5
:00集合
仕掛け、餌はご相談ください
森川携帯電話:090-7181-6314
5/
19(金)波浪中止
20
(土)
マダラソウハチ(空き0)
21
(日)
マダイ五目(空き1)
22(月)予約受付中
23(火)休業日
24(水)
コマセマダイ(空き2)
25(木)
キツネメバル(空き2)
26(金)
マダイ五目(空き2)
27
(土)
コマセマダイ(空き2)
28
(日)
予約受付中
29(月)予約受付中
30(火)予約受付中
31(水)予約受付中
6/ 1(木)予約受付中
2(金)予約受付中
3
(土)
予約受付中
4
(日)
予約受付中
5(月)予約受付中
6(火)休業日
7(水)予約受付中
8(木)予約受付中
9(金)予約受付中
10
(土)
泳がせ根魚(空き0)
11
(日)
予約受付中
12(月)予約受付中
*予約状況
6/17(土)マダラ他(仕立て)
6/24(土)泳がせ(空き0名)
釣果
2023/05/19 09:48
0
5/16キツネメバル(マソイ)
5/16キツネメバル(マソイ)
夏日・・ベタナギ・・釣り日和・・釣果も大満足・・
釣果(船中/2名)
キツネメバル0.5~1.8㎏ 31尾、サバ大 2尾、ホッケ 7尾、
メバル 1尾、エゾメバル 2尾、イナダ 1尾、オコゼ 1尾、
ショウサイフグ3㎏ 1尾、
お知らせ
:
燃料の高騰が痛手
と当船はコロナ対策で
乗船数を
3~5名
まで
としてます、そこで。し ばらくの期間、
氷のサービスを休止させていただ
きます。
乗船料金は据え置きとなります。ご勘弁のほどよろしくお願いいた
します。
【
今が旬のおすすめ釣りもの】
キツネメバル(マソイ)・・ナギの良い日に限り・・同付き3~5本針ネムリ14~16号フラッシュ付き、ハリス6~8号、オモリ150号,エササバタン・ホタル、1㎏級のマソイ狙い、外道にメバル・メダイ・カサゴ・ムシカレイが釣れる可能性あり
当船の仕掛けについて
・まだら:
ラインは5~6号250mあれば・
(当船では8号以上は
水深200mさられの距離でフケがひどく底どりできずオマツリにもなって
釣果につながりませんのでご遠慮願います)
胴付き3本針
餌サンマ半身つけ(塩締ナシ)オモリ200号
マダラ出船は底引き網漁のジャマにならないように
網の休日、火曜・土曜日に限りますのでよろしく(冬期は別です)
・
ソウハチカレイ
:胴付き5~7本フラッシュ付針、餌イカタン・
ホタルイカ、オモリ200号
・
イカ
:ブランコ、プラツノ14~12㎝ダブルカンナ、
オモリ100~120号
・
メバル
:胴付き7~10本針赤フラッシュ付エダ間隔45㎝(おい食い
しやすく)、餌ホタルイカなど
オモリ100~120号
・
アマダイ
:フカセ2.5m2~3本針、下針から50㎝にカミツブシ小、
餌オキアミ、ホタルイカ、オモリ100~120号
・マダイ
:5~4号2~3段テパー
12m
フカセ
(乗っ込みマダイの
時は6~5号。ハリス10m)
、針10号1~2本針、
中間にカミツブシ、下針から
1.5~2mにスイベル3B付、
コマセ籠80号餌とコマセオキアミ
(青物が多い時はハリス
10m・5~6号)
・
カサゴ
:フカセ2m2~3本針、餌サバタン、ホタルイカ
オモリ100~150号
*海、潮、魚の状況により変更があります
集合時間
5
:00集合
仕掛け、餌はご相談ください
森川携帯電話:090-7181-6314
5/
16(火)
キツネメバル(2名)
17(水)
キツネメバル・波悪く中止
18(木)波浪中止
19(金)予約受付中
20
(土)
マダラソウハチ(空き0)
21
(日)
マダイ五目(空き2)
22(月)予約受付中
23(火)休業日
24(水)予約受付中
25(木)
キツネメバル(空き3)
26(金)
マダイ五目(空き3)
27
(土)
コマセマダイ(空き2)
28
(日)
予約受付中
29(月)予約受付中
30(火)予約受付中
31(水)予約受付中
6/ 1(木)予約受付中
2(金)予約受付中
3
(土)
予約受付中
4
(日)
予約受付中
5(月)予約受付中
6(火)休業日
*予約状況
6/10(土)泳がせ(空き1名)
6/17(土)マダラ他(仕立て)
6/24(土)泳がせ(空き0名)
釣果
2023/05/16 18:32
0
5/14マダイ五目
5/14マダイ五目
ユキシロで濁りが有り食いが悪く苦戦・・
釣果(船中/2名)
マダイ0.5㎏ 4尾、沖メバル 7尾、アジ 1尾、チカメキントキ 9尾、
キジハタ 1尾、クロメバル 1尾、カサゴ 2尾、
お知らせ
:
燃料の高騰が痛手
と当船はコロナ対策で
乗船数を
3~5名
まで
としてます、そこで。し ばらくの期間、
氷のサービスを休止させていただ
きます。
乗船料金は据え置きとなります。ご勘弁のほどよろしくお願いいた
します。
【
今が旬のおすすめ釣りもの】
キツネメバル(マソイ)・・ナギの良い日に限り・・同付き3~5本針ネムリ14~16号フラッシュ付き、ハリス6~8号、オモリ150号,エササバタン・ホタル、1㎏級のマソイ狙い、外道にメバル・メダイ・カサゴ・ムシカレイが釣れる可能性あり
当船の仕掛けについて
・まだら:
ラインは5~6号250mあれば・
(当船では8号以上は
水深200mさられの距離でフケがひどく底どりできずオマツリにもなって
釣果につながりませんのでご遠慮願います)
胴付き3本針
餌サンマ半身つけ(塩締ナシ)オモリ200号
マダラ出船は底引き網漁のジャマにならないように
網の休日、火曜・土曜日に限りますのでよろしく(冬期は別です)
・
ソウハチカレイ
:胴付き5~7本フラッシュ付針、餌イカタン・
ホタルイカ、オモリ200号
・
イカ
:ブランコ、プラツノ14~12㎝ダブルカンナ、
オモリ100~120号
・
メバル
:胴付き7~10本針赤フラッシュ付エダ間隔45㎝(おい食い
しやすく)、餌ホタルイカなど
オモリ100~120号
・
アマダイ
:フカセ2.5m2~3本針、下針から50㎝にカミツブシ小、
餌オキアミ、ホタルイカ、オモリ100~120号
・マダイ
:5~4号2~3段テパー
12m
フカセ
(乗っ込みマダイの
時は6~5号。ハリス10m)
、針10号1~2本針、
中間にカミツブシ、下針から
1.5~2mにスイベル3B付、
コマセ籠80号餌とコマセオキアミ
(青物が多い時はハリス
10m・5~6号)
・
カサゴ
:フカセ2m2~3本針、餌サバタン、ホタルイカ
オモリ100~150号
*海、潮、魚の状況により変更があります
集合時間
5
:00集合
仕掛け、餌はご相談ください
森川携帯電話:090-7181-6314
5/
14
(日)
マダイ五目(2名)
15(月)予約受付中
16(火)
キツネメバル(空き2)
17(水)
キツネメバル・波悪く中止
18(木)予約受付中
19(金)予約受付中
20
(土)
マダラソウハチ(空き0)
21
(日)
マダイ五目(空き3)
22(月)予約受付中
23(火)休業日
24(水)予約受付中
25(木)予約受付中
26(金)
マダイ五目(空き3)
27
(土)
コマセマダイ(空き2)
28
(日)
予約受付中
29(月)予約受付中
30(火)予約受付中
31(水)予約受付中
6/ 1(木)予約受付中
2(金)予約受付中
3
(土)
予約受付中
4
(日)
予約受付中
5(月)予約受付中
6(火)休業日
*予約状況
6/10(土)泳がせ(空き1名)
6/17(土)マダラ他(仕立て)
6/24(土)泳がせ(空き1名)
釣果
2023/05/14 19:56
0
前のページ
Home
次のページ
プロフィール
HN:
海咲丸船長
性別:
非公開
カテゴリー
釣果(813)
出船スケジュール(0)
1月(0)
2月(0)
3月(0)
4月(0)
5月(0)
6月(0)
7月(0)
8月(0)
9月(0)
10月(0)
11月(0)
12月(0)
最新記事
11/30コマセマダイ
(11/30)
11/24コマセ五目
(11/25)
11/23マダラ
(11/23)
11/16コマセ五目
(11/16)
11/15ジギング
(11/15)
RSS
RSS 0.91
RSS 1.0
RSS 2.0
リンク
管理画面
新しい記事を書く
P R
ページトップ