海咲丸「みさきまる」
釣果、予約状況、予定、その他
Home
釣果
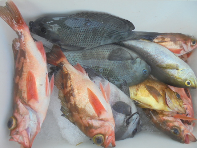
3/15沖メバル
3/15沖メバル
おきゃくさんお一人でしたが・・頑張ってくれました
釣果(船中/1名)
沖メバル大~中 26尾、チカメキントキ 5尾、ウッカリカサゴ 4尾、
お知らせ
:
燃料の高騰が痛手
と当船はコロナ対策で
乗船数を
3~5名
まで
としてます、そこで。しばらくの期間、
氷のサービスを休止させていただ
きます。
乗船料金は据え置きとなります。ご勘弁のほどよろしくお願いいた
します。
当船の仕掛けについて
・まだら:
ラインは5~6号250mあれば・
(当船では8号以上は
水深200mの距離でフケがひどく底どりできずオマツリにもなって
釣果につながりませんのでご遠慮願います)
胴付き3本針
餌サンマ半身つけ(塩締ナシ)オモリ200号
マダラ出船は底引き網漁のジャマにならないように
網の休日、火曜・土曜日に限りますのでよろしく(冬期は別です)
・
ソウハチカレイ
:胴付き5~7本フラッシュ付針、餌イカタン・
ホタルイカ、オモリ200号
・
イカ
:ブランコ、プラツノ14~12㎝ダブルカンナ、
オモリ100~120号
・
メバル
:胴付き7~10本針赤フラッシュ付エダ間隔45㎝(おい食い
しやすく)、餌ホタルイカなど
オモリ100~120号
・
アマダイ
:フカセ2.5m2~3本針、下針から50㎝にカミツブシ小、
餌オキアミ、ホタルイカ、オモリ100~120号
・マダイ
:5~4号2~3段テパー
12m
フカセ
(乗っ込みマダイの
時は6~5号。ハリス10m)
、針10号1~2本針、
中間にカミツブシ、下針から
1.5~2mにスイベル3B付、
コマセ籠80号餌とコマセオキアミ
(青物が多い時はハリス
10m・5~6号)
・
カサゴ
:フカセ2m2~3本針、餌サバタン、ホタルイカ
オモリ100~150号
*海、潮、魚の状況により変更があります
集合時間
6
:00集合
仕掛け、餌はご相談ください
森川携帯電話:090-7181-6314
3/15(水)
沖メバル(1名)
16(木)波浪中止
17(金)波浪中止
18
(土)
沖メバル予定
19
(日)
沖メバル予定
20(月)予約受付中
21
(火)
予約受付中
22(水)予約受付中
23(木)予約受付中
24(金)予約受付中
25
(土)
予約受付中
26
(日)
予約受付中
27(月)予約受付中
28(火)予約受付中
29(水)予約受付中
30(木)予約受付中
31(金)予約受付中
4/ 1
(土)
マダイ五目(空き2)
2
(日)
予約受付中
3(月)予約受付中
4(火)予約受付中
5(水)予約受付中
PR
釣果
2023/03/16 05:40
0
3/12マダイ五目
3/12マダイ五目釣行
潮の動きが悪く場所をあちらこちら回ってみたが・・苦労した・・
釣果(船中/2名)
マダイ中小 5尾、メジナ 12尾、イサキ 2尾、イシダイ 4尾、
ソイ 1尾、カサゴ 1尾、沖メバル 3尾、ウマヅラ 1尾、
お知らせ
:
燃料の高騰が痛手
と当船はコロナ対策で
乗船数を
3~5名
まで
としてます、そこで。しばらくの期間、
氷のサービスを休止させていただ
きます。
乗船料金は据え置きとなります。ご勘弁のほどよろしくお願いいた
します。
当船の仕掛けについて
・まだら:
ラインは5~6号250mあれば・
(当船では8号以上は
水深200mの距離でフケがひどく底どりできずオマツリにもなって
釣果につながりませんのでご遠慮願います)
胴付き3本針
餌サンマ半身つけ(塩締ナシ)オモリ200号
マダラ出船は底引き網漁のジャマにならないように
網の休日、火曜・土曜日に限りますのでよろしく(冬期は別です)
・
ソウハチカレイ
:胴付き5~7本フラッシュ付針、餌イカタン・
ホタルイカ、オモリ200号
・
イカ
:ブランコ、プラツノ14~12㎝ダブルカンナ、
オモリ100~120号
・
メバル
:胴付き7~10本針赤フラッシュ付エダ間隔45㎝(おい食い
しやすく)、餌ホタルイカなど
オモリ100~120号
・
アマダイ
:フカセ2.5m2~3本針、下針から50㎝にカミツブシ小、
餌オキアミ、ホタルイカ、オモリ100~120号
・マダイ
:5~4号2~3段テパー
12m
フカセ
(乗っ込みマダイの
時は6~5号。ハリス10m)
、針10号1~2本針、
中間にカミツブシ、下針から
1.5~2mにスイベル3B付、
コマセ籠80号餌とコマセオキアミ
(青物が多い時はハリス
10m・5~6号)
・
カサゴ
:フカセ2m2~3本針、餌サバタン、ホタルイカ
オモリ100~150号
*海、潮、魚の状況により変更があります
集合時間
6
:00集合
仕掛け、餌はご相談ください
森川携帯電話:090-7181-6314
3/12
(日)
マダイ五目アマダイ(2名)
13(月)波浪中止
14(火)予約受付中
15(水)予約受付中
16(木)予約受付中
17(金)予約受付中
18
(土)
沖メバル予定
19
(日)
沖メバル予定
20(月)予約受付中
21
(火)
予約受付中
22(水)予約受付中
23(木)予約受付中
24(金)予約受付中
25
(土)
予約受付中
26
(日)
予約受付中
27(月)予約受付中
28(火)予約受付中
29(水)予約受付中
30(木)予約受付中
31(金)予約受付中
4/ 1
(土)
マダイ五目(空き2)
2
(日)
予約受付中
3(月)予約受付中
釣果
2023/03/13 12:12
0
3/11クロソイ・オニカサゴ
3/11クロソイ・オニカサゴ釣行
終日ウネリがあり大変でしたが頑張ってくれました・・
釣果(船中/2名)
イサキ 2尾、黄メバル 5尾、クロソイMAX3㎏ 6尾、沖メバル 1尾、
オニカサゴ 2尾、ウッカリカサゴMAX3㎏ 10尾、
お知らせ
:
燃料の高騰が痛手
と当船はコロナ対策で
乗船数を
3~5名
まで
としてます、そこで。しばらくの期間、
氷のサービスを休止させていただ
きます。
乗船料金は据え置きとなります。ご勘弁のほどよろしくお願いいた
します。
当船の仕掛けについて
・まだら:
ラインは5~6号250mあれば・
(当船では8号以上は
水深200mの距離でフケがひどく底どりできずオマツリにもなって
釣果につながりませんのでご遠慮願います)
胴付き3本針
餌サンマ半身つけ(塩締ナシ)オモリ200号
マダラ出船は底引き網漁のジャマにならないように
網の休日、火曜・土曜日に限りますのでよろしく(冬期は別です)
・
ソウハチカレイ
:胴付き5~7本フラッシュ付針、餌イカタン・
ホタルイカ、オモリ200号
・
イカ
:ブランコ、プラツノ14~12㎝ダブルカンナ、
オモリ100~120号
・
メバル
:胴付き7~10本針赤フラッシュ付エダ間隔45㎝(おい食い
しやすく)、餌ホタルイカなど
オモリ100~120号
・
アマダイ
:フカセ2.5m2~3本針、下針から50㎝にカミツブシ小、
餌オキアミ、ホタルイカ、オモリ100~120号
・マダイ
:5~4号2~3段テパー
12m
フカセ
(乗っ込みマダイの
時は6~5号。ハリス10m)
、針10号1~2本針、
中間にカミツブシ、下針から
1.5~2mにスイベル3B付、
コマセ籠80号餌とコマセオキアミ
(青物が多い時はハリス
10m・5~6号)
・
カサゴ
:フカセ2m2~3本針、餌サバタン、ホタルイカ
オモリ100~150号
*海、潮、魚の状況により変更があります
集合時間
6
:00集合
仕掛け、餌はご相談ください
森川携帯電話:090-7181-6314
3/11
(土)
クロソイ・オニカサゴ
(2名)
12
(日)
マダイ五目アマダイ(空き2)
13(月)予約受付中
14(火)予約受付中
15(水)予約受付中
16(木)予約受付中
17(金)予約受付中
18
(土)
予約受付中
19
(日)
予約受付中
20(月)予約受付中
21
(火)
予約受付中
22(水)予約受付中
23(木)予約受付中
24(金)予約受付中
25
(土)
予約受付中
26
(日)
予約受付中
27(月)予約受付中
28(火)予約受付中
29(水)予約受付中
30(木)予約受付中
31(金)予約受付中
4/ 1
(土)
予約受付中
2
(日)
予約受付中
釣果
2023/03/11 17:31
0
3/9マダイ五目
3/9マダイ五目釣行
マダイ狙いで深場まで行ったのだが潮が速くて釣りにならずしかたなく
浅場に移動、なんとかお土産をゲット・・お一人のお客さんにがまんして
いただいた・・ごめんなさい。
帰りにおすそ分けまでもらった・・早速調理してみました・・この時期の
メジナは刺身も煮つけも臭みがなく美味しかった。
釣果(船中/1名)
マダイ小 3尾、メジナ大 7尾、ソイ 1尾、イサキ 2尾、
黄メバル 1尾、イシダイ 1尾、ウマヅラ 1尾、
お知らせ
:
燃料の高騰が痛手
と当船はコロナ対策で
乗船数を
3~5名
まで
としてます、そこで。しばらくの期間、
氷のサービスを休止させていただ
きます。
乗船料金は据え置きとなります。ご勘弁のほどよろしくお願いいた
します。
当船の仕掛けについて
・まだら:
ラインは5~6号250mあれば・
(当船では8号以上は
水深200mの距離でフケがひどく底どりできずオマツリにもなって
釣果につながりませんのでご遠慮願います)
胴付き3本針
餌サンマ半身つけ(塩締ナシ)オモリ200号
マダラ出船は底引き網漁のジャマにならないように
網の休日、火曜・土曜日に限りますのでよろしく(冬期は別です)
・
ソウハチカレイ
:胴付き5~7本フラッシュ付針、餌イカタン・
ホタルイカ、オモリ200号
・
イカ
:ブランコ、プラツノ14~12㎝ダブルカンナ、
オモリ100~120号
・
メバル
:胴付き7~10本針赤フラッシュ付エダ間隔45㎝(おい食い
しやすく)、餌ホタルイカなど
オモリ100~120号
・
アマダイ
:フカセ2.5m2~3本針、下針から50㎝にカミツブシ小、
餌オキアミ、ホタルイカ、オモリ100~120号
・マダイ
:5~4号2~3段テパー
12m
フカセ
(乗っ込みマダイの
時は6~5号。ハリス10m)
、針10号1~2本針、
中間にカミツブシ、下針から
1.5~2mにスイベル3B付、
コマセ籠80号餌とコマセオキアミ
(青物が多い時はハリス
10m・5~6号)
・
カサゴ
:フカセ2m2~3本針、餌サバタン、ホタルイカ
オモリ100~150号
*海、潮、魚の状況により変更があります
集合時間
6
:00集合
仕掛け、餌はご相談ください
森川携帯電話:090-7181-6314
3/ 9(木)
マダイ五目(1名)
10(金)風雨中止
11
(土)
釣りもの変更
(空き1)
12
(日)
マダイ五目アマダイ(空き2)
13(月)予約受付中
14(火)予約受付中
15(水)予約受付中
16(木)予約受付中
17(金)予約受付中
18
(土)
予約受付中
19
(日)
予約受付中
20(月)予約受付中
21
(火)
予約受付中
22(水)予約受付中
23(木)予約受付中
24(金)予約受付中
25
(土)
予約受付中
26
(日)
予約受付中
27(月)予約受付中
28(火)予約受付中
釣果
2023/03/10 08:09
0
3/8メバル・マダイ五目
3/8メバル・マダイ五目釣行
後半に突風が有る予報なので早上がり覚悟で出船しました・・
10目釣りになってしまったがまあまあの成果となりました。
釣果(船中/3名)
沖メバル 17尾、チカメキントキ 2尾、ウッカリカサゴ 1尾、
ムシカレイ 1尾、黄メバル 1尾、マダイ 1尾、イシダイ 3尾、
クロソイ 4尾、メジナ 6尾、イサキ 6尾、
お知らせ
:
燃料の高騰が痛手
と当船はコロナ対策で
乗船数を
3~5名
まで
としてます、そこで。しばらくの期間、
氷のサービスを休止させていただ
きます。
乗船料金は据え置きとなります。ご勘弁のほどよろしくお願いいた
します。
当船の仕掛けについて
・まだら:
ラインは5~6号250mあれば・
(当船では8号以上は
水深200mの距離でフケがひどく底どりできずオマツリにもなって
釣果につながりませんのでご遠慮願います)
胴付き3本針
餌サンマ半身つけ(塩締ナシ)オモリ200号
マダラ出船は底引き網漁のジャマにならないように
網の休日、火曜・土曜日に限りますのでよろしく(冬期は別です)
・
ソウハチカレイ
:胴付き5~7本フラッシュ付針、餌イカタン・
ホタルイカ、オモリ200号
・
イカ
:ブランコ、プラツノ14~12㎝ダブルカンナ、
オモリ100~120号
・
メバル
:胴付き7~10本針赤フラッシュ付エダ間隔45㎝(おい食い
しやすく)、餌ホタルイカなど
オモリ100~120号
・
アマダイ
:フカセ2.5m2~3本針、下針から50㎝にカミツブシ小、
餌オキアミ、ホタルイカ、オモリ100~120号
・マダイ
:5~4号2~3段テパー
12m
フカセ
(乗っ込みマダイの
時は6~5号。ハリス10m)
、針10号1~2本針、
中間にカミツブシ、下針から
1.5~2mにスイベル3B付、
コマセ籠80号餌とコマセオキアミ
(青物が多い時はハリス
10m・5~6号)
・
カサゴ
:フカセ2m2~3本針、餌サバタン、ホタルイカ
オモリ100~150号
*海、潮、魚の状況により変更があります
集合時間
6
:00集合
仕掛け、餌はご相談ください
森川携帯電話:090-7181-6314
3/ 8(水)
メバル(3名)
9(木)
マダイ五目(空き3)
10(金)予約受付中
11
(土)
メバル・オニカサゴ(空き1)
12
(日)
マダイ五目アマダイ(空き2)
13(月)予約受付中
14(火)予約受付中
15(水)予約受付中
16(木)予約受付中
17(金)予約受付中
18
(土)
予約受付中
19
(日)
予約受付中
20(月)予約受付中
21
(火)
予約受付中
22(水)予約受付中
23(木)予約受付中
24(金)予約受付中
25
(土)
予約受付中
26
(日)
予約受付中
27(月)予約受付中
釣果
2023/03/08 17:34
0
前のページ
Home
次のページ
プロフィール
HN:
海咲丸船長
性別:
非公開
カテゴリー
釣果(813)
出船スケジュール(0)
1月(0)
2月(0)
3月(0)
4月(0)
5月(0)
6月(0)
7月(0)
8月(0)
9月(0)
10月(0)
11月(0)
12月(0)
最新記事
11/30コマセマダイ
(11/30)
11/24コマセ五目
(11/25)
11/23マダラ
(11/23)
11/16コマセ五目
(11/16)
11/15ジギング
(11/15)
RSS
RSS 0.91
RSS 1.0
RSS 2.0
リンク
管理画面
新しい記事を書く
P R
ページトップ